Por: Dr. Saúl Miranda Alonso
Subdirector de Estudios y Pronósticos Meteorológicos/DGPRD/SPC
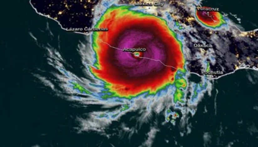
Con el reciente desastre en la zona de Guerrero provocado por el huracán Otis, se analiza el estado actual de la capacidad de pronóstico por cómputo para un fenómeno similar en nuestro estado.
Mundialmente, se cuenta con un pronóstico del tiempo basado en los pronósticos por cómputo de modelos numéricos de escala global o hemisférica que emiten diferentes instituciones en el mundo. A estos pronósticos “base” se suma la experiencia del previsor del tiempo para seleccionar los resultados del modelo que a su criterio tienen la mayor probabilidad de predecir las condiciones atmosféricas en los siguientes días, hasta siete para Veracruz. Basándose en situaciones similares ocurridas en el pasado para la región que conoce, más resultados de modelos numéricos regionales, el previsor mejora el detalle del pronóstico final.
Dentro de los límites que permite la tecnología actual, en términos de cantidad y calidad de datos a nivel mundial que alimentan a los modelos numéricos globales, la capacidad de cómputo y el uso de los algoritmos numéricos correctos, la confiabilidad de los pronósticos globales es variable. Esto es, el pronóstico regional del tiempo para Veracruz es tan bueno/malo como los pronósticos de escala global o hemisférica que emiten diferentes instituciones en el mundo.
En la actualidad, tanto la experiencia del previsor como la veracidad de los pronósticos por computadora se ven comprometidos por los cambios en los patrones del clima resultado del cambio climático, con escenarios fuera del rango que los modelos numéricos contemplan.
Desde los años 60’s los satélites GOES que dan seguimiento puntual a las trayectorias de huracanes (y otros fenómenos meteorológicos extremos) permiten dar los alertamiento desde días y hasta semanas con anticipación. Pero el pronóstico veraz de la intensidad y la zona de impacto, se determina sólo cuando el huracán se acerca a la costa. El caso de Otis fue un caso extraordinario que implica la revisión a fondo de los algoritmos matemáticos utilizados actualmente para el pronóstico de la trayectoria e intensidad de los huracanes, que por lo demás, han probado ser fenómenos difíciles de simular con las herramientas físicas y matemáticas actuales, es importante mencionar que el Centro Nacional de Huracanes en sus análisis anuales de cada temporada de ciclones tropicales, menciona que el pronóstico de trayectoria de los mismos cada vez se va reduciendo el error, no así el de su intensidad, es por ello que cada temporada será un reto para los especialistas en su labor diaria.
En Veracruz, dentro de la Secretaría de Protección Civil, la Subdirección de Estudios y Pronósticos Meteorológicos (SEPM), lleva un programa de pronóstico numérico del tiempo regional que se está fortaleciendo con un notable incremento de poder de cómputo y con la contratación de personal capacitado en el manejo de los modelo de pronóstico, cuyo objetivo principal es “vigilar las condiciones meteorológicas, climáticas y marítimas a corto, mediano y largo plazo con la finalidad de alertar a las autoridades estatales y municipales, así como al público en general”. Estas acciones permitirán mejorar el apoyo al pronóstico del tiempo que cada día del año la Secretaría de Protección Civil difunde por todos los medios de comunicación disponibles.
Ceec Protección Civil
